台北市政府今(25)日宣布,公館圓環將提前在29日上午6時改為正交路口,提醒用路人注意路型調整,包含福和橋下橋處車道分流、機車除此處外皆可直接左轉,及公車站位調整、欲左轉往大安區(公館)及中正區者靠內側行駛等。
公館圓環29日改正交路口,汽機車、公車動線調整一次看
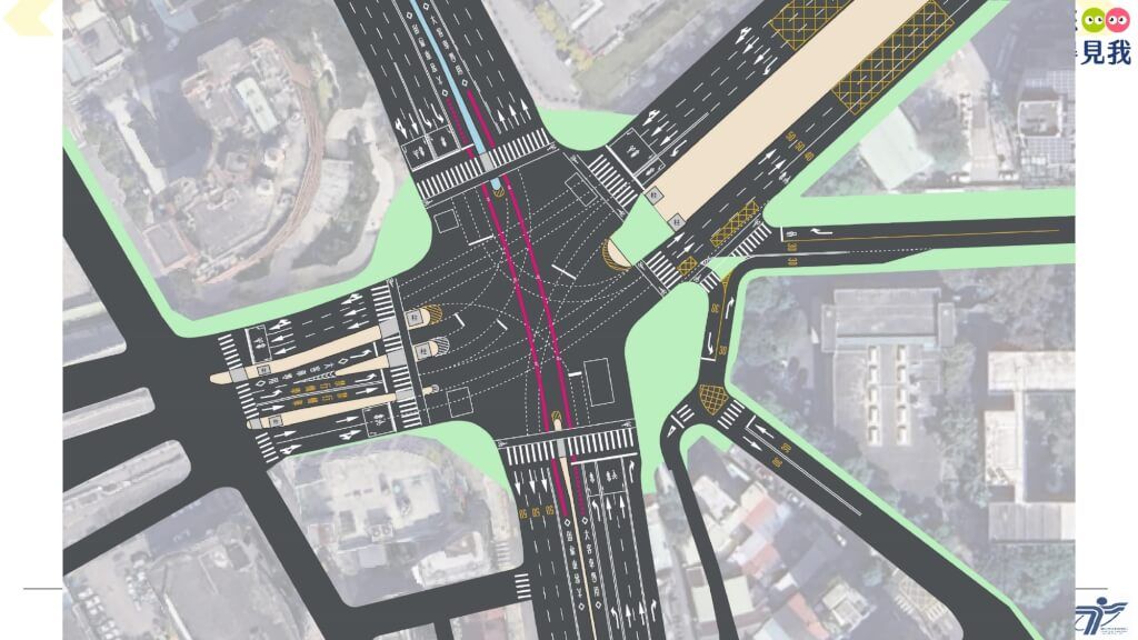
台北市交通局長謝銘鴻及工務局長黃一平今天共同舉行記者會,宣布羅斯福路與基隆路口交通安全改善工程將在29日上午6時完工,將圓環改為正交路口。
工務局新建工程處工務科長高銘伸在會中說明,此工程在13日凌晨正式動工,目前工程進度約80%,正在分段進行公館圓環周遭的銑鋪作業,預計28日深夜進行圓環處的施作,完成後就能在29日上午6時轉為正交路口。
高銘伸表示,最後施工階段仍然會有部分道路封閉措施,請用路人行經工區時放慢速度,依照人員指引行駛,另包含行人庇護島在內等零星工程,預計10月上旬全數完成。
1、各路口劃設左轉專用車道,機車可直接左轉「除了福和橋下橋處」
交通局交通管制工程處交通規劃科長李薇婷說,29日改為正交路口後,各路口都會劃設左轉專用車道,而機車除福和橋下橋處「仍須兩段式左轉」外,其餘方向皆可直接左轉,但仍保留機車待轉格供有需要者使用。


2、公車站位將同步調整
李薇婷表示,公車站位將同步調整,由基隆路及福和橋轉向進入羅斯福路的公車路線原停靠路側站位,之後將改為羅斯福路大客車專用道行駛及停靠。
公車路線調整部分,由基隆路及福和橋轉向進入羅斯福路之公車路線原停靠路側站位,將調整至羅斯福路大客車專用道行駛並停靠,詳述如下:
一、「捷運公館站」路側站位改停靠「捷運公館站」大客車專用道站位路線
(一)、福和橋往公館:207、208(含區)、672(含區)、688
(二)、基隆路往公館:1、673、907(含通勤)、綠11、棕12、棕22
二、「水源市場」站位改停靠「捷運公館站
大客車專用道站位路線–福和橋往公館:208(含區)。
三、「師大分部」路側站位改停靠「師大分部」
大客車專用道站位路線–基隆路往師大分部:基隆路幹線、通勤13。

3、欲左轉往大安區(公館)及中正區者靠內側行駛
福和橋汽車進城下橋處因受道路幾何及墩柱影響,建議駕駛人提前於橋上分流,往信義區及文山區方向靠外側行駛,欲左轉往大安區(公館)及中正區者靠內側行駛。

4、羅斯福路4段123巷21弄同日起試辦東往西單行道
東南角巷道亦同步進行交通動線調整,羅斯福路4段123巷21弄同日起試辦東往西單行道,請欲前往信義區用路人可由羅斯福路主線至基隆路口右轉前往。
新工處長林昆虎表示,工期之所以能從65天縮短至不到3週,要特別感謝施工廠商協助及周邊居民的諒解與包容。交工處長張建華也說,感謝用路人配合警方及義交引導,讓施工過程平順。
此外,羅斯福路北上方向17日下午發生公車塞到動彈不得狀況,新工處當時說明是施作廠商擅自封閉車道導致。
新工處今天表示,因廠商違反交通維持計畫且造成交通壅塞,將依照契約開罰新台幣15萬元。

(相關報導:
機車族注意了!1交通新制上路「違者禁騎加重罰3000元」,很多車主還不知道
|
更多文章
)
資料來源:台北市交通局






















































